News

Herb French Tarragon

Herb French Tarragon

The Herb French Tarragon (Artemisia dracunculus) stands as a titan in the world of culinary aromatics. Often referred to as the "King of Herbs" in classic French cuisine, this perennial plant offers a sophisticated flavor profile that balances subtle sweetness with a sharp, anise-like undertone. Unlike its Russian cousin, which is often considered flavorless and bitter, true French Tarragon provides a refined essence that can transform simple sauces, poultry dishes, and vinaigrettes into gourmet experiences. Understanding how to grow, harvest, and utilize this delicate herb is essential for any home cook or gardener looking to elevate their kitchen repertoire.

Characteristics and Varieties: Distinguishing the Best

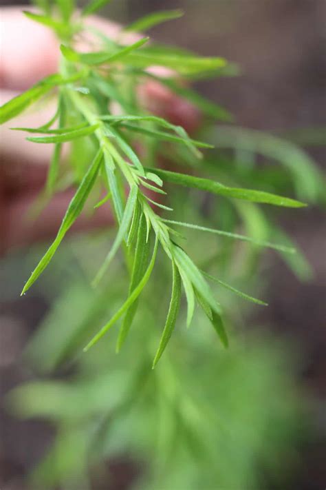
Fresh green French Tarragon leaves

When searching for the perfect plant, it is vital to distinguish between varieties. Many novice gardeners mistakenly purchase Russian Tarragon seeds, only to find the flavor lacking. True Herb French Tarragon does not typically produce viable seeds; therefore, it must be propagated through root division or stem cuttings. This botanical quirk ensures that the distinct essential oils—specifically estragole—remain concentrated, providing that signature licorice flavor.

To help you distinguish between the two primary types often found in garden centers, refer to the following comparison table:

Feature French Tarragon Russian Tarragon
Flavor Potent, sweet, anise-like Mild, grassy, slightly bitter
Leaves Dark green, smooth, shiny Light green, slightly hairy
Propagation Cuttings/Division (no seeds) Seeds or runners
Culinary Value High (Gourmet) Low (Ornamental)

Cultivation Requirements for Success

Potted French Tarragon in a sunny garden

Growing Herb French Tarragon successfully requires a bit of patience and specific environmental conditions. It thrives in well-draining soil and appreciates a location that receives full sun, though it can tolerate partial shade in warmer climates. Because its root system is shallow, keeping the plant hydrated without waterlogging it is the key to healthy growth.

  • Soil Preference: Sandy loam or light soil with a neutral pH level is ideal.
  • Sunlight: Aim for at least six hours of direct sunlight daily for the best flavor concentration.
  • Spacing: Provide at least 18 inches of space between plants to ensure proper air circulation and prevent fungal issues.
  • Winter Care: Since it is a perennial, cut the stems back in late autumn and mulch heavily to protect the roots during freezing temperatures.

⚠️ Note: Avoid over-fertilizing your French Tarragon. Excessive nitrogen can lead to lush leaf growth, but it significantly dilutes the potency of the aromatic oils that make the herb so desirable.

Harvesting and Preserving the Flavor

Harvesting should begin once the plant is well-established, usually by mid-summer. For the most intense flavor, collect the leaves in the morning after the dew has evaporated but before the sun is at its peak. Using sharp shears, harvest the sprigs by cutting back the stems, which will also encourage the plant to grow in a bushier, more productive habit.

Preservation is where many cooks encounter difficulty. Unlike herbs like rosemary or thyme, Herb French Tarragon does not hold its flavor well when dried. Instead, consider these methods:

  • Freezing in Oil: Finely chop the leaves, place them in an ice cube tray, cover with olive oil, and freeze. These cubes can be dropped directly into sauté pans for an instant burst of flavor.
  • Tarragon Vinegar: Steep fresh sprigs in high-quality white wine vinegar for two weeks. This creates a shelf-stable condiment perfect for salad dressings.
  • Herb Butter: Combine chopped tarragon with softened unsalted butter and freeze in log form. Slice off a piece to melt over grilled salmon or steak.

Culinary Applications and Pairings

In the kitchen, the Herb French Tarragon is famously one of the four “fines herbes” of French cooking, alongside parsley, chives, and chervil. Its flavor profile pairs exceptionally well with fats and acidic ingredients, cutting through the richness of eggs, cream, and butter.

Try incorporating this herb into these classic preparations:

  • Béarnaise Sauce: The quintessential use for tarragon; a rich, buttery emulsion that defines refined dining.
  • Poultry Dishes: A simple roasted chicken stuffed with sprigs of tarragon creates a fragrant, professional-level meal.
  • Vinaigrettes: Whisk into a Dijon mustard and shallot dressing to elevate basic green salads.
  • Seafood: Its anise notes highlight the natural sweetness of scallops, shrimp, and white fish.

💡 Note: Always add your fresh tarragon toward the end of the cooking process. Long exposure to high heat causes the delicate essential oils to evaporate, resulting in a loss of the very flavor you worked so hard to cultivate.

Troubleshooting Common Garden Issues

Even with perfect conditions, you may face occasional challenges. French Tarragon is particularly susceptible to root rot if the soil remains too wet for extended periods. If you notice yellowing leaves or a drooping plant despite regular watering, check the moisture level of the root zone immediately. Additionally, ensure the plant is divided every three to four years to prevent the center from becoming woody and losing vigor.

By prioritizing well-draining soil and ensuring your plants have plenty of room to breathe, you can mitigate most issues before they start. Monitoring for pests like aphids is also advised; a gentle spray of neem oil or insecticidal soap is usually enough to keep your harvest healthy and ready for the plate.

Wrapping up our exploration of this culinary staple, it is clear that integrating the herb into your garden and kitchen adds a level of sophistication that few other plants can provide. From the specific nuances of selecting the true variety to the precise techniques of preservation and timing, mastering this herb is a rewarding endeavor. Whether you are crafting a delicate sauce or simply adding a fresh garnish to a weekend meal, the unique character of this plant ensures your culinary efforts will be both memorable and delicious. With proper care and the right approach, you will find yourself reaching for these fragrant leaves time and time again as a cornerstone of your home cooking.

Related Terms:

  • what is tarragon used for
  • tarragon herb plant
  • what spices go with tarragon
  • what flavor is tarragon
  • where does tarragon come from
  • what does tarragon look like